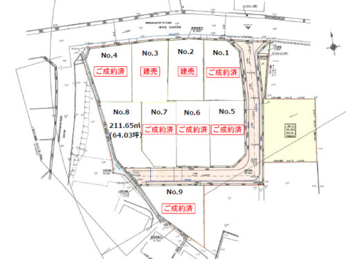
現地写真・区画図
※電柱及び支線の設置予定(1,3,8,9号地)
【北面参考プランはこちら】 【南面参考プランはこちら】
【分譲地まち並みプロジェクトはこちら】
富士宮市 宮原
価格:1,050万円
-
POINT
-
9区画分譲地内の1区画 / 建築条件付き
全区画60坪以上、富士山が望めます♪
現地ご案内図
物件詳細
| 物件種目 | 売土地 |
|---|---|
| 価格 | 1,050万円 |
| 土地面積 | 211.65㎡(64.03坪) |
| 所在地 | 富士宮市宮原字下本村201他 |
| 交通 | JR 富士宮駅 約3,900m |
| 土地権利 | 所有権 |
| 都市計画 | 市街化区域 |
| 建ぺい率 | 50% |
| 容積率 | 80% |
| 地目 | 宅地 |
| 用途地域 | 第一種低層 |
| 他の法令上の制限 | 景観法 |
| 現況 | 更地 |
| 接道状況 | 公道 道路幅員:約6m |
| 引渡日 | 相談 |
| 学区 | 富丘小 / 富士宮第四中 |
| 設備 | 東京電力・上水道・個別浄化槽・LPガス |
-
おすすめポイント
-
★全9区画分譲地
★全区画60坪以上の敷地
★富士山が望める立地
★1km以内にドラッグストアやスーパーのある便利な環境
★建築条件付き
★ご希望の方には参考プランを作成いたします◎
開発行為許可番号:富都第2-6号の2(令和5年11月16日)
※土地面積は予定面積であり、確定測量後に変更となる場合があります。
※宅地内に電柱及び支線の設置予定がございます(1,3,8,9号地)
※土地面積は予定面積であり、確定測量後に変更となる場合があります。
※宅地内に電柱及び支線の設置予定がございます(1,3,8,9号地)
近隣情報
- 富丘小学校・・・現地より約1,530m
- 富士宮第四中学校・・・現地より約2,670m
- クリエイトエス・ディー富士宮宮原店・・・現地より約200m
- ミニストップ富士宮宮原店・・・現地より約200m
- 仁信会南富士病院・・・現地より約430m
- ウエルシア富士宮宮原店・・・現地より約470m
- 富士宮宮原簡易郵便局・・・現地より約500m
- セブンイレブン富士宮宮原店・・・現地より約520m
- ニトリ富士宮店・・・現地より約820m
- オギノ富士宮万野原店・・・現地より約940m






